埼玉新聞

 

【台風4号】猛烈な強さに発達 中心気圧905ヘクトパスカル 最大瞬間風速85メートル 週末、小笠原に接近する予想

  • 台風4号のアメダス映像(13日午前7時30分)=気象庁HPから

    台風4号のアメダス映像(13日午前7時30分)=気象庁HPから

  • 台風4号の進路予想と勢力(13日午前6時)=気象庁HPから

    台風4号の進路予想と勢力(13日午前6時)=気象庁HPから

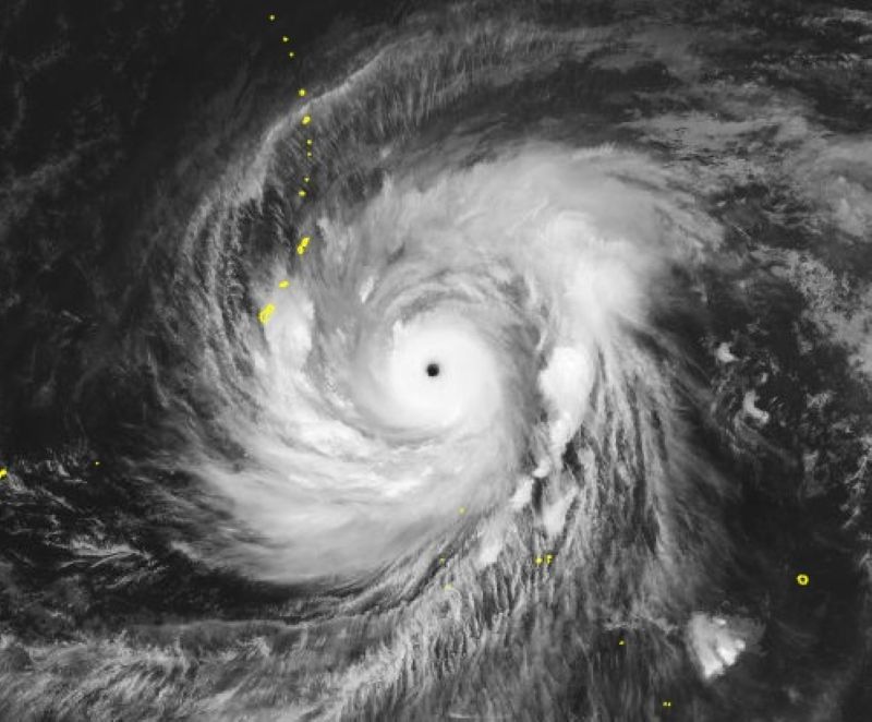
  • 台風4号のアメダス映像。(13日午前8時、マリアナ諸島近海)=気象庁HPから

    台風4号のアメダス映像。(13日午前8時、マリアナ諸島近海)=気象庁HPから

  • 台風4号のアメダス映像(13日午前7時30分)=気象庁HPから
  • 台風4号の進路予想と勢力(13日午前6時)=気象庁HPから
  • 台風4号のアメダス映像。(13日午前8時、マリアナ諸島近海)=気象庁HPから

 気象庁によると、大型で猛烈な強さの台風4号は13日午前6時現在、マリアナ諸島近海にあり、北西へ時速15キロで進んでいる。

もっと読む
ツイート シェア シェア